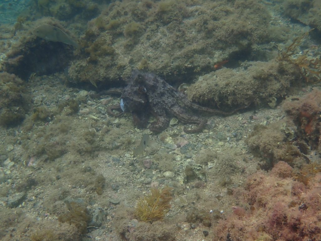
Four more days of recent snorkeling on Rakino Island.. Other critters seen but not photographed, (or not photographed well!) an eagle ray, and a leatherjacket. I’m determined to get a better image of the hiwihiwi next time.
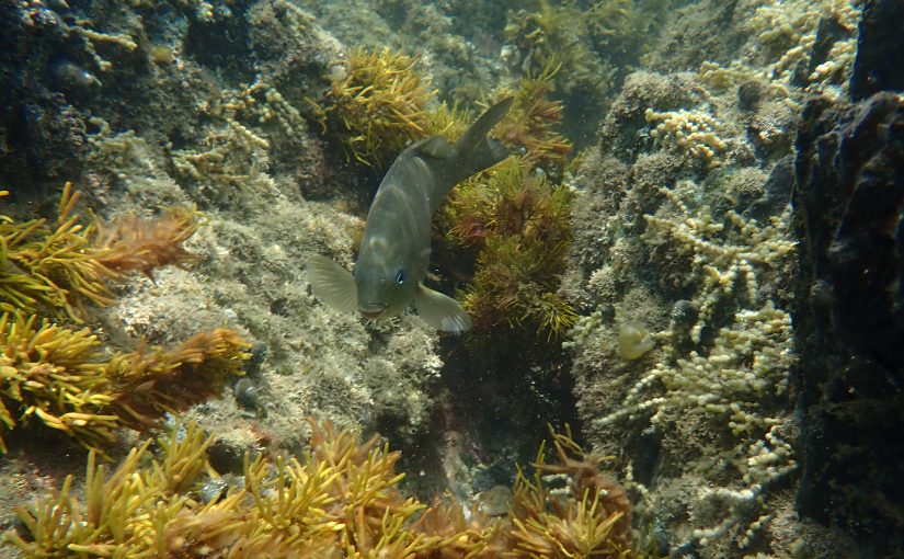
You won’t see much in the way of pictures of snapper here, not because there aren’t juvenile snapper in the rocky reef zone, but because they aren’t an indicator of reef health. We’re more interested in the diversity of other species, and I’m especially interested in the uncharismatic little guys; the chiton, limpets, and dorids. What we’ve seen over the last few weeks of snorkeling is that the reef area isn’t too horrible; the steady decline of the Hauraki Gulf has been relentlessly documented for a long time and now maybe it’s time to start to try and tell a more positive story.
The addition of the High Protection Area at the Noises potentially marks a turning point for the eastern Rakino reef and coastal areas. The worst case scenario would be to see a line of recreational fishers sitting in their boats just off the edge of the HPA between Rakino and The Noises.
I’m hopeful that we’ll see even more diversity in the next few years instead, and maybe one day an extension of the HPA over to the Rakino coastline. Regardless, we’ll continue to document the changes.










































